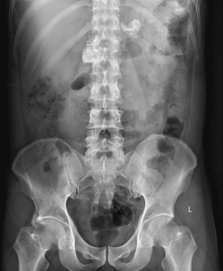
Abdomen : Case 6

History :  A 52-year-old male with abdominal pain.

 

What is the abnormality?

A. Negative study
B. Renal stone
C. Calcified adrenal gland
D. Calcified pancreas

D. Calcified pancreas

Calcified pancreas

Pancreatic calcification is a feature of chronic pancreatitis.

  • Chronic pancreatitis : Soft tissue calcification which follows the anatomical position of the pancreas

Chronic pancreatitis :

  • Represents the end result of a continuous, prolonged, inflammatory and fibrosing process that affects the pancreas
  • Resulting in irreversible morphologic changes and permanent endocrine and exocrine pancreatic dysfunction
  • Most common cause : Excessive alcohol consumption
Predisposing factors :

The major risk factors for development of chronic pancreatitis may be categorised according to the TIGAR-O system:

Abdomen Case 6

By Electronic Learning Abdominal Radiology

Abdomen Case 6

  • 1,327